Dandenong Civic Centre

Public Notice - Dandenong City Council Notice of Intention to Discontinue and Sell Road - Beck Court, Noble Park

Dandenong Civic Centre

Greater Dandenong City Council
Notice of Intention to Discontinue and Sell Road - Beck Court, Noble Park

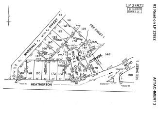
Greater Dandenong City Council (Council) gives notice under sections 206, 207A, 223, and Item 3 of Schedule 10 of the Local Government Act 1989 and Section 114 of the Local Government Act 2020 of its intention to discontinue and sell the road known as Beck Court, Noble Park being R3 Road on LP 23922 (Road). The proposal is to discontinue the Road and sell the Road land to the abutting owner in accordance with Council’s Disposal or Sale of Council Assets and Land Policy (Proposal). The Proposal will include a creation of an easement over the Road land to protect existing services assets.

Plans showing the location of the proposal are available to view below. 

Enquiries may be directed to John Gregory, Senior Commercial Property Officer on 8571 5307.

A person may make a submission on the proposal under Council’s Community Engagement Policy and the Local Government Act 2020. Any person proposing to make a submission must do so by 5.00pm on Thursday 6 July 2023. A submitter must state within their submission whether they wish to be heard by a special committee of Council convened to hear any submissions. 

Council will consider all submissions received before making a decision on whether to proceed or not to discontinue the Road and sell the Road land.

Submissions should be addressed to the Chief Executive Officer and can be emailed to council@cgd.vic.gov.au or posted to the following address:

Jacqui Weatherill
Chief Executive Officer
Greater Dandenong City Council
PO Box 200
Dandenong VIC 3175

  • Beck Court, Noble Park - Locality Map
    Beck Court, Noble Park - Locality Map
  • Beck Court, Noble Park - R3 Road on LP 23922
    Beck Court, Noble Park - R3 Road on LP 23922
  • Beck Court, Hatched Area Plan
    Beck Court, Hatched Area Plan
  • Beck Court, Proposed Easement Plan
    Beck Court, Proposed Easement Plan